
广义地讲,伤后时间超过3周称为陈旧性骨折。骨盆由扁骨构成,骨松质较多,骨盆骨折多由高能量损伤所致,出血较多,血肿机化快,所以在伤后3周以上的治疗处理有一定的特殊性。陈旧性骨盆骨折伴随并发症往往是治疗的难点和重点,最常见的并发症为疼痛、畸形愈合或不愈合、双下肢不对称、姿态不平、美学缺陷等,伤后早期切开复位内固定治疗不稳定性骨盆骨折、恢复骨盆环解剖复位完整性可以最大限度地避免并发症的发生。
陈旧性骨盆大部分因紧急抢救时病情较重、合并症较多、以积极保命为主、将骨盆救治放在一个次要的位置所致。当病情得到好转后,骨盆骨折已成为陈旧性骨盆骨折了。其临床表现大多以下肢不等长为特点。
构成骨盆的骨骼松质骨较多,骨髓腔中有静脉窦,加上盆腔内有丰富的静脉丛,因而在骨盆骨折后出血多、血肿体积大、机化过程快,造成伤后时间长的骨盆骨折组织间粘连重。由于骨盆血运丰富,陈旧性骨盆骨折多有一定量的骨痂。陈旧性骨盆骨折组织粘连重,分离显露时很可能出血多:骨痂形成多,剥离时渗血也会多。这一切导致陈旧性骨盆骨折手术时出血多,有时难以控制,使手术难度加大。
骨盆腔内外有丰富的肌肉组织,在损伤后形成血肿,进而形成瘢痕;骨盆环有丰富的韧带、韧带复合体,有坚韧复杂的盆膈,在受到牵拉伤或撕裂后,将会出现瘢痕孪缩,这些因素使得陈旧性骨盆骨折的复位过程困难,难以达到满意的效果。
陈旧性骨盆内固定也是一个难题,由于复位困难,维持复位的力量也需要一定的力度;时间较长的陈旧性骨折,其BMD会因卧床、限动等原因而降低,出现骨质疏松。因此,对陈旧性骨盆骨折进行内固定的效果,较新鲜骨折的内固定效果没有可比性。
手术干预陈旧性骨盆骨折的主要适应证包括:下肢不等长、骨盆不稳所致的疼痛、症状性骨性畸形(行走、坐姿不平衡等)、压迫泌尿或生殖系统引起相应症状等。手术的主要目的是恢复骨盆环的正常解剖结构,通过减轻疼痛、纠正双下肢不等长和坐姿不平衡、解除压迫来提高患者的生活质量。陈旧性骨盆骨折手术治疗的风险极高,需要医师极强的手术技巧和围手术期管理能力,故应由有经验的创伤医师进行手术操作。
(1)陈旧性耻骨联合分离的治疗:陈旧性耻骨联合分离<2.5 cm的可以采取保守治疗,对症处理,一般无明显遗留症状;陈旧性耻骨联合分离>2.5 cm的,由于前环不稳定,可能产生行走痛,如果病史不是特别长,如<3个月又没有明显的骨质疏松,可以进行切开复位内固定:术中采用Weber钳或螺钉复位钳,辅以手法挤压骨盆,逐渐使耻骨联合复位,但不必强求解剖复位,然后以双钢板固定。
(2)陈旧性耻骨支骨折的治疗:耻骨上下支的血运丰富,只要断端之间分离不是太远,一般都能骨性愈合,不必强求复位内固定。如果耻骨上支、耻骨体移位或畸形愈合突入阴道产生症状,则可以行骨突切除术。
(1)陈旧性髂骨骨折的治疗:髂骨含松质骨较多、血运丰富,愈合能力强。若因畸形愈合产生局部骨性突起、形成皮肤压疮,应行骨突切除术。若移位明显导致骨不连,出现骨盆不稳定、行走痛、步态异常等,可以行植骨、内固定。若因骨盆倾斜导致下肢不等长,则可以根据具体情况采取肢体短缩术、肢体延长术、髋骨截骨术、畸形愈合处截骨术等。但此类矫形手术要慎重,对手术技术要求高,要评估其潜在的手术风险。
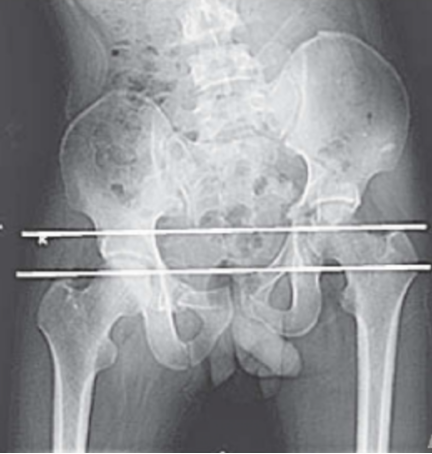
(2)陈旧性骶髂关节骨折脱位的治疗:此类损伤处理困难。因为骨痂多、粘连重、手术时出血多、复位困难。手术治疗是针对明显的遗留症状,如负重时的放射性神经痛、行走痛、步态明显异常、下肢不等长。对于神经症状,一般采用神经营养药物等非手术治疗,当有影像学证据表明神经受到卡压时,可以实行前路神经探查松解术。如果骶髂关节陈旧脱位、骨盆倾斜导致下肢不等长,可以根据具体情况采取肢体短缩术、肢体延长术、髋骨截骨术,或者畸形愈合处截骨术等方法进行治疗。如下图所示,一位女性患者因车祸致脑外伤及C3型骨盆骨折,4个月后就诊时骨盆骨折已畸形愈合,肢体不等长达6 cm。骨盆前后位X线片显示左侧髂骨明显上移,使双侧大粗隆不在同一水平(图1)。
图1(图源:作者提供)
骨盆CT三维重建影像显示骨盆环形状不规则,骨盆明显倾斜(图2)。
遂行左侧髂骨截骨重建钢板内固定,术后双下肢不等长减少到1 cm,X线检查显示双侧大粗隆大致在同一水平(图3)。
图3(图源:作者提供)
术后骨盆CT三维重建影像显示骨盆环较术前明显改善。(图4)
陈旧性骨盆骨折截骨矫形的手术操作困难,借助3D打印技术可以得到很多帮助,使手术更加准确,效果更能预期。如下图所示,一位男性患者车祸伤导致开放性C型骨盆骨折及左侧髋臼骨折,就诊时已经畸形愈合,患者主诉双下肢不等长,坐姿不平衡,要求矫形以改善功能。X线检查显示陈旧性骨盆及髋臼骨折已畸形愈合,骨盆倾斜,双侧股骨大转子不在同一.水平线上(图5)。
骨盆CT三维重建影像显示双侧半骨盆不对称,左侧髋臼骨折和骶骨骨折使左侧半骨盆明显上移(图6)。
体检测量双下肢不等长达4cm。通过3D打印技术制备真实尺寸的骨盆实时模型,计划髋骨截骨位置,进行模拟手术,测量截骨后髂骨需要牵开的距离和嵌入植骨块的形态和尺寸,进行术前准备,手术时遵照术前设计实施截骨矫形手术,明显提高截骨的准确性,还节约了手术时间,取得很好的效果。术后X线检查显示截骨与内固定跟模拟手术高度一致, 双侧大转子基本处于同一水平线(图7),临床检查发现双下肢不等长还不到1 cm。
(3)陈旧性骶骨骨折的治疗:骶骨的愈合能力是比较强的。此类损伤的处理主要是针对其可能存在的神经症状,如畸形愈合导致的骶管变形、狭窄;若神经症状明显,可行后路减压术。有时因骶骨明显畸形,使患者平卧困难,可行骨突切除等手术以改善生活质量。
[1] Yoon YC, Ma DS, Lee SK, Oh JK, Song HK. Posterior pelvic ring injury of straddle fractures: Incidence, fixation methods, and clinical outcomes. Asian J Surg. 2021;44(1):59-65. doi:10.1016/j.asjsur.2020.03.021
[2] Coccolini F, Stahel PF, Montori G, et al. Pelvic trauma: WSES classification and guidelines. World J Emerg Surg. 2017;12:5. Published 2017 Jan 18. doi:10.1186/s13017-017-0117-6
[3] Caillot M, Hammad E, Le Baron M, et al. Pelvic fracture in multiple trauma: a 67-case series[J]. Orthop Traumatol Surg Res, 2016, 102(8): 1013-1016. DOI: 10. 1016/j. otsr. 2016. 08. 018.
[4]Burkhardt M, Kristen A, Culemann U, et al. Pelvic fracture in
multiple trauma: are we still up-to-date with massive fluid resuscitation?[J]. Injury, 2014, 45 Suppl 3: S70-S75. DOI: 10. 1016/j. injury.2014.08.021.
[5]Kwon HM, Kim SH, Hong JS, et al. Abdominal solid organ injury in trauma patients with pelvic bone fractures[J] . Ulus Travma AcilCerrahi Derg, 2014, 20(2): 113-119. DOI: 10. 5505/tjtes. 2014.72698.
[6]Sharpe JP, Magnotti LJ, Gobbell WC, et al. Impact of early operative pelvic fixation on long- -term self-reported outcome following severe pelvic fracture[J]. J Trauma Acute Care Surg, 2017, 82(3): 444. 450.DOI: 10. 1097 /TA.000000000001346.
[7]Costantini TW, Coimbra R, Holcomb JB, et al. Current management of hemorrhage from severe pelvic fractures: results of an American Association for the Surgery of Trauma multi-institutional trial[J] . J Trauma Acute Care Surg, 2016, 80(5): 717-725. DOI: 10. 1097/TA.000000000001034.
[8]Pascarella R, Del Torto M, Politano R, et al. Critical review of pelvic fractures associated with external iliac artery lesion: a series of sixcases[J]. Injury, 2014, 45(2): 374-378. DOI: 10. 1016/j. injury.2013.10.011
声明:本文由供稿单位提供,作者骨殇,授权本平台发布,仅用于学习交流,未经授权禁止转载!